Мукачівців попереджають про закриття залізничного переїзду

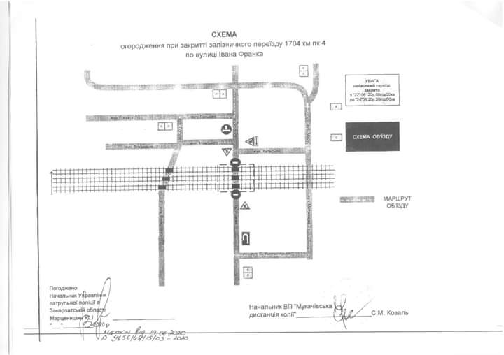
До уваги водіїв транспортних засобів Виробничий підрозділ “Мукачівська дистанція колії” повідомляє, що у зв’язку з виконанням графіка проведення ремонтних робіт, необхідних для забезпечення безпеки руху поїздів та автотранспортних засобів буде закрито переїзд для рух автотранспортних засобів,  що перетинає вул. Франка Івана у м. Мукачево на період з 22 червня до 20:00 год. 24 червня Схема огородження при закритті залізничного переїзду додається.

Read More

В Ужгороді загорілося сміття в пластиковому контейнері

21.06.2020 о 15:37 загорання сміття в пластиковому контейнері за адресою: м. Ужгород, вул. А.Корольова Пожежею пошкоджено сміттєвий контейнер. Причина пожежі та збитки встановлюються. На гасіння залучалась одна одиниця техніки 14-ї державної пожежно-рятувальної частини м. Ужгород.У ДСНС України у Закарпатській області

Read More

На Виноградівщині вже 73 особи подолали коронавірус

Ситуація щодо COVID-19 на Виноградівщині станом 22 червня за даними Виноградівської районної філії державної установи «ЗОЛЦ МОЗ України»   – у 101 особи лабораторно підтверджено діагноз COVID-19, з них жодного випадку за попередню добу; – 73 жителів району, у яких був підтверджений коронавірус методом ПЛР, одужали; – 4 людей померло, із підтвердженим діагнозом COVID-19 методом ПЛР; Перший випадок захворювання на COVID-19 на території Виноградівського району був лабораторно підтверджений 08 квітня.

Read More

На Закарпатті горіла недобудова

21 червня о 15:45 до Служби порятунку надійшло повідомлення про загорання недобудованого житлового будинку в с. Сойми Міжгірського району.   Як інформує Управління ДСНС України у Закарпатській області, очевидці повідомили, що вогонь охопив перекриття мансардного поверху споруди. Нa місце події виїхaли двa відділення 4-ї держaвної пожежно-рятувaльної чaстини смт Міжгір’я. Бійці ДСНС, не гaючи чaсу, приступили до гaсіння пожежі й зa лічені хвилини її локaлізувaли. Тим сaмим вони зaпобігли поширенню полум’я через дерев’яні перекриття нa весь будинок. Повнa ліквідaція пожежі тривaлa до 16:15. Нaрaзі прaвоохоронні оргaни встaновлюють причину появи вогню тa…

Read More

В Ужгороді продовжують дезінфікувати вулиці

Сьогодні в Ужгороді проводять дезінфекцію місць загального користування, зокрема на набережних Незалежності, Київській та Православній, вулицях Корзо, Августина Волошина, площах Театральній та Євгена Фенцика. Ремонтують лінії вуличного освітлення на вул. Кримській, замінюють лампи на вул. Льва Толстого, 44. Прополюють квітники; стрижуть живопліт на вул. Олександра Довженка. Косять траву на схилі Православної набережної, на проспекті Свободи, вул. Загорській, Марії Заньковецької (біля ЗОШ №15 і №12), Капушанської, В’ячеслава Чорновола, Бориса Тлехаса. На кладовищі Кальварія ліквідовують повалені внаслідок негоди дерева. Працівники обслуговувальних підприємств прибирають закріплені за ними території. Ліквідовують стихійні сміттєзвалища на вул.…

Read More

На Рахівщині 134 випадки COVID-19

Ситуація щодо COVID-19 в Рахівському районі станом на 10 годину 22 червня 2020 року: – сто тридцяти чотирьом мешканцям Рахівського району (смт. Великий Бичків – 22, м. Рахів – 49, смт. Ясіня – 2, с. Білин – 3, с. Видричка – 1, с. Водиця – 2, с. Луг – 3, с. Ділове – 2, с. Лазещина – 2, с. Росішка – 2, с. Розтоки – 11, с. Ч. Тиса – 1, с. Кваси – 9, с. Кос. Поляна – 22, с. Сер. Водяне – 1, с. Костилівка – 2) встановлено…

Read More

На Закарпатті 2188 людей підхопили коронавірус

МОЗ повідомляє:   В Україні зафіксовано 681 випадок коронавірусної хвороби COVID-19 22 червня (станом на 9:00) в Україні 37 241 лабораторно підтверджений випадок COVID-19, з них 1012 летальні, 16 642 пацієнти одужало. За добу зафіксовано 681 новий випадок. Загалом проведено 569 589 тестувань методом ПЛР. Наразі коронавірусна хвороба виявлена: Вінницька область — 1660 випадків; Волинська область — 1852 випадки; Дніпропетровська область — 1042 випадки; Донецька область — 362 випадки; Житомирська область — 1270 випадків; Закарпатська область — 2188 випадків; Запорізька область — 555 випадків; Івано-Франківська область — 2056 випадків; Кіровоградська…

Read More

В обласному центрі горів автомобіль

21 червня о 09:18 надійшло повідомлення про загорання автомобіля BMW 318i в Ужгороді, по вул. І.Франка Пожежею пошкоджено салон автомобіля. Причина пожежі та збитки встановлюються. На гасіння залучались дві одиниці техніки 15-ї та 14-ї державних пожежно-рятувальних частин м. Ужгород.

Read More

ДТП в Ужгороді: п’яний водій влетів у паркан

Про автопригоду на вулиці Олександра Блистіва (Краснодонців) у соцмережі повідомили очевидці. Зі слів очевидців, ймовірно п’яний водій, не впорався з керуванням, злетів з дороги у кювет та врізався в паркан. Наразі про постраждалих та офіційні причини ДТП не відомо.  

Read More